かまえインターパーク|レストランを併設した野菜やお魚の直売所
HOME
>
かまえインターパーク情報
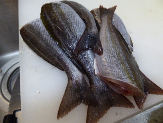
☆6/12 入荷情報☆
2015年06月12日
イサキが入荷しました!
唐揚げでホクホクの身を味わってみて下さいね♪
かまえインターパーク海べの市
直売所
海のレストラン「笑魚」
テイクアウト「なごみ~や」
海鮮BBQ 焼き小屋